Zastosowanie płyty mostującej
Zastosowanie naszej płytki mostującej, cieszy bardzo! Pozdrawiamy specjalistów z Przychodnia weterynaryjna „Kiełbowicz” !
Zastosowanie naszej płytki mostującej, cieszy bardzo! Pozdrawiamy specjalistów z Przychodnia weterynaryjna „Kiełbowicz” !
Cały czas aktywnie! Za nami dwudniowe szkolenie dotyczące dysplazji stawu biodrowego u psów poprowadzone przez dr hab. n. wet. Romana […]
Szkolimy nieustannie! Tematem dzisiejszych warsztatów jest technika TTA (Tibial Tuberosity Advancement), czyli operacyjne przesunięcie guzowatości piszczelowej. Jest to jedna metod […]
Przedstawiamy krótką relację ze szkolenia z zakresu neurologii psów i kotów – poziom III. Podczas zajęć praktycznych zapoznaliśmy się z […]
Szkolenie z zakresu osteotomii miednicy wykorzystywanej w leczeniu dysplazji stawów biodrowych u psów w trakcie. Podczas szkolenia zapoznaliśmy się metodyką […]
Kolejne warsztaty w trakcie! Tym razem szkolimy się na Uniwersytecie Przyrodniczym we Wrocławiu. 731 885 777 kontakt@medgalvet.com.pl
Warsztaty z techniki TPLO w trakcie! Prowadzący: dr hab. Yauheni Zhalniarovich, prof. UWM 731 885 777 kontakt@medgalvet.com.pl
Prezentujemy efekty artrodezy stawu koronowego za pomocą odpowiedniej płytki blokowanej w systemie 5.0 wykonanej w Equi Vet Serwis Dr […]
Kolejne zespolenie kości biodrowej po pojedynczej osteotomii miednicy – tym razem z zastosowaniem klamry kostnej w celu zwiększenia wytrzymałości. Pies […]
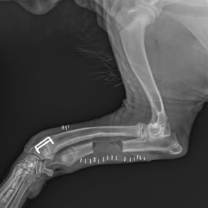
Poniżej prezentujemy zastosowanie klamer kostnych w leczeniu zespołu krzywej kości promieniowej u psa. Zdjęcia przedstawiają osteotomię kości łokciowej i częściową […]